Wildly optimistic promotions during WW I and some drilling, but no gushers.
“Oil Excitement at Rocky Ford Field Near Sundance,” proclaimed a front page of the Moorcroft (Wyoming) Democrat on September 14, 1917, describing a “big drill” of the Wyoming-Dakota Company.
“Rocky Ford, the seat of the oil activities in Crook County is about the busiest place around,” the newspaper continued. “Cars come and go, people congregate, and the steady churning of the two big rigs continues perpetually.”
Not finished with its enthusiastic reporting, the Moorcroft Democrat noted: “Excitement has reached the zenith of tension, and with each gush of the precious fluid, oil stock climbs another notch. The big drill of the Wyoming-Dakota Co. has been pulled from their deep hole until spring. The drill reached 600 feet and was in oil.”
North Texas oilfield discoveries had made national headlines, adding to the excitement in Wyoming, where the giant Salt Creek-Midwest field was revealed in 1908. Even showman Col. William F. Cody would catch oil fever (see Buffalo Bill Shoshone Oil Company).
Wyoming-Dakota Oil
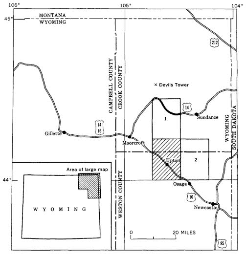
The Rapid City, South Dakota, petroleum exploration company Wyoming-Dakota Oil — reportedly having one producing well and three more drilling — was capitalized at $500,000 with a par value of 25 cents per share. All of its leases were in Crook County, including 3,200 acres in Lime Butte field, 10,000 acres in Rocky Ford field, and 4,000 acres in Poison Creek field.
Since Wyoming would not pass its first “Blue Sky” law to prevent fraudulent promotions until 1919, Wyoming-Dakota Oil’s newspaper ads often rivaled patent medicine exaggerations. Potential investors were enticed with “Geologists claim this showing indicates alone 500,000 barrels to the acre” and “Your Chance Has Come if you want to make money in Oil.”
In Sioux Falls, South Dakota, the Sells Investment Company offered Wyoming-Dakota Oil Company stock reportedly after “a careful selection of conservative issues from among the thousand prospects, offering same to you before higher prices prevail or its present substantial position has been discounted by professional traders. A good clean cut speculation of this character may mean a fortune. Watch this company for sensational developments.”
The United States had entered World War I in April 1917; by November newspapers reported Francis Peabody, chairman of the Coal Committee of the Council of National Defense, was telling the U.S. Senate Public Lands Committee that the country was not producing enough oil to win the war.
“He said if nothing were done to develop new wells the reserve supply would be exhausted in twelve months and production would be 50,000,000 barrels less than requirements,” one newspaper noted. Wyoming-Dakota Oil Company executives took advantage of the opportunity while more Texas discoveries like “Roaring Ranger” made headlines.

“The (war) situation outlined leads us to suggest that you investigate Wyoming-Dakota Oil. ‘We are doing our bit’ by drilling night and day. Ours is an investment worth while. The allotment of Treasury stock at 25 cents is almost sold out and the Directors will advance the price of stock to 50 cents a share (100 per cent on your present investment) on December 15th, 1917.”
The Wyoming-Dakota Oil promotion continued: “By that time our newspaper announcement in the Eastern cities, pointing out the enormous acreage, present production and negotiations for additional valuable holdings will be made known to millions of seasoned investors in New York, Philadelphia, Chicago, Boston and Pittsburgh. We feel confident this will result in a demand for this stock that will send the present market price skyward. We trust you will see the wisdom of prompt action before all available stock at 25 cents per share has been purchased by other investors.”
In early 1918, Wyoming-Dakota Oil Company had drilled wells in the Upton-Thornton oilfield and was “holding out high hope of bringing in a gusher in a few days.” In July, the Laramie Daily Boomerang reported the company had “two rigs going steadily in Crook County’s Rocky Ford field” — but no oil gushers.
Growing investor pessimism was reflected in Wyoming-Dakota Oil Company’s stock prices, which fell in over-the-counter markets from 75 cents bid in June 1919 to 50 cents bid at the end of September. By March 1920, brokers offered 5,000 shares or any part thereof at 5 cents a share.
A final blow to the company was reported in the Laramie Republican of July 25, 1921: “Wyoming-Dakota…has completed pulling the casing from the well which it has been drilling north of town, after having struck a formation said to be granite, at a depth of 715 feet.”
The Laramie newspaper remained optimistic. “While this has a tendency to retard the activities of other interests, it is by no means stopping them entirely and it is to be hoped that another well will be started this summer.”
That did not happen. Reports on Wyoming-Dakota Oil Company disappeared for the next 24 years, until a court summons was published in the January 25, 1945, Sundance (Wyoming) Times.
The summons said Wyoming-Dakota Oil — address or place of residence to plaintiff unknown — was being sued in the Sixth District Court of Wyoming. The exploration company then faded into history; its stock certificates valued only by scripophily collectors.
_______________________

_______________________
The American Oil & Gas Historical Society (AOGHS) preserves U.S. petroleum history. Please become an AOGHS annual supporter and help maintain this energy education website and expand historical research. For more information, contact bawells@aoghs.org. Copyright © 2025 Bruce A. Wells.
Citation Information: Article Title – “Wyoming-Dakota Company” Authors: B.A. Wells and K.L. Wells. Website Name: American Oil & Gas Historical Society. URL https://aoghs.org/old-oil-stocks/wyoming-dakota-oil-company. Last Updated: March 31, 2025. Original Published Date: January 14, 2016.

